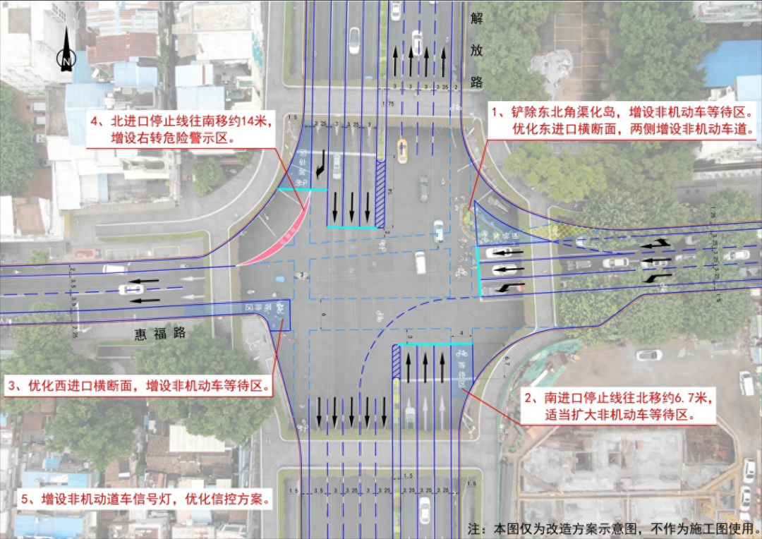
记者1月4日从广州市公安交警部门获悉,为进一步优化越秀区解放中路-惠福西路口交通组织,规范非机动车通行秩序,提高通行效率,消除安全隐患,广州交警会同市交通运输局将于近期在该路口逐步开展改造增设非机动车过街通道、等待区及专用信号灯等优化调整措施。

具体措施包括:
1.铲除东北角渠化岛,增设非机动车等待区。优化东进口横断面,两侧增设非机动车道。
2.南进口停止线往北移约6.7米,适当扩大非机动车等待区。
3.优化西进口横断面,增设非机动车等待区。
4.北进口停止线往南移约14米,增设右转危险警示区。
5.增设非机动道车信号灯,优化信控方案。
广州交警提醒广大交通参与者,请根据道路实际标志标线指示通行。

文/图:广州日报·新花城记者 张丹羊 邱伟荣 通讯员 交宣


























































